Sono stati approvati e aggiudicati i lavori per la modifica migliorativa, in termini di sicurezza per l’utenza debole, dell’intersezione a rotatoria lungo la strada provinciale 143 al km 7+100, al confine tra i Comuni di Orbassano e Rivalta di Torino, in corrispondenza dell’ingresso alla frazione Tetti Francesi. I lavori, finanziati integralmente dalla Città metropolitana di Torino, partiranno all’inizio del 2026 e avranno una durata di circa due mesi.
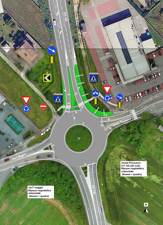
Il progetto nasce dalle segnalazioni del Comune di Rivalta, che ha richiesto un miglioramento della sicurezza dell’attraversamento pedonale posto lungo il ramo nord della rotatoria, (caratterizzato da due corsie per senso di marcia), dove si innestano Strada Piossasco e via I Maggio. L’apertura di un nuovo supermercato ha infatti aumentato sensibilmente il flusso pedonale nell’area.
Già nell’autunno 2024 era stata avviata una sperimentazione temporanea con new jersey in plastica e segnaletica lampeggiante, volta a ridurre l’ampiezza delle corsie in uscita ed entrata in rotatoria, e a testare la nuova configurazione dell’isola spartitraffico.
L’esito positivo della prova ha portato alla progettazione definitiva delle modifiche, che comprendono la realizzazione di nuove isole spartitraffico, il rifacimento della pavimentazione stradale dell’anello giratorio, l’installazione di nuovi punti luce a LED ed implementazione della segnaletica indicante l’attraversamento sospesa, oltre al completo aggiornamento della segnaletica orizzontale e verticale.
L’investimento complessivo ammonta a circa 115.000 euro.
«Il progetto conferma l’impegno della Città metropolitana di Torino nel garantire la sicurezza stradale e nell’ascoltare le esigenze espresse dai Comuni del territorio – sottolinea il vicesindaco Jacopo Suppo –. Interventi come questo dimostrano l’importanza di un coordinamento continuo tra amministrazioni locali e struttura
Leggi qui le ultime notizie: IL TORINESE

